logo-top
金盛丸
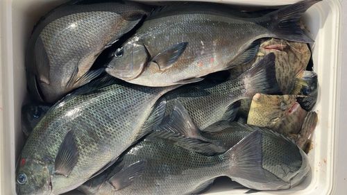
釣果No.7392
2026年01月17日
佐賀県県北呼子周辺馬渡島

イサキ

福岡市の島田さん
福岡市の島田さんはイサキを見事釣り上げました。
釣果No.7391
2026年01月17日
佐賀県県北呼子周辺馬渡島

クロ

福岡市の坂田さん
福岡市の坂田さんはクロを見事釣り上げました。
釣果No.7346
2026年01月14日
佐賀県県北呼子周辺馬渡島

クロ

福岡市の島田さん
福岡市の島田さんはクロを見事釣り上げました。
釣果No.7345
2026年01月14日
佐賀県県北呼子周辺馬渡島

イサキヒラス

大川市の吉原さん
大川市の吉原さんはヒラス、イサキと見事釣り上げました。
釣果No.7216
2025年12月30日
佐賀県県北呼子周辺馬渡島

タイクロ

大川市の酒見さん
大川市の酒見さんはクロ、鯛を見事釣り上げました。
釣果No.7215
2025年12月30日
佐賀県県北呼子周辺馬渡島

ヨコワ

大川市の酒見さん
大川市の酒見さんはヨコワを見事釣り上げました。
釣果No.7214
2025年12月30日
佐賀県県北呼子周辺馬渡島

ヒラス

福岡市の近藤さん
福岡市の近藤さんはヒラスを見事釣り上げました。
釣果No.7213
2025年12月30日
佐賀県県北呼子周辺馬渡島

イシダイ

58cm 佐賀市の東さん
佐賀市の東さんは石鯛58㎝を見事釣り上げました。
釣果No.7212
2025年12月30日
佐賀県県北呼子周辺馬渡島

ヒラス

松枝さん
松枝さんはヒラスを見事釣り上げました。
釣果No.7089
2025年12月28日
佐賀県県北呼子周辺馬渡島

クロ

唐津市の牧山さん
唐津市の牧山さんは
クロを見事釣り上げました。
釣果No.7060
2025年12月23日
佐賀県県北呼子周辺馬渡島

ヒラメヤズヨコワ

福岡市の池田さん
福岡市の池田さんは
ヤズ、ヨコワ、ヒラメと見事釣り上げました。
釣果No.7059
2025年12月23日
佐賀県県北呼子周辺馬渡島

ヒラス

前田さん
前田さんはヒラスを見事釣り上げました。
釣果No.7058
2025年12月23日
佐賀県県北呼子周辺馬渡島

ヒラス

吉野ヶ里町の吉谷さん
吉野ヶ里町の吉谷さんはヒラスを
見事釣り上げました。
釣果No.7057
2025年12月23日
佐賀県県北呼子周辺馬渡島

ヒラス

中原町の兒坂さん
中原町の兒坂さんはヒラスを
見事釣り上げました。
釣果No.7056
2025年12月23日
佐賀県県北呼子周辺馬渡島

クロ

42cm 福岡市の坂田さん
福岡市の坂田さんはクロ42㎝を
見事釣り上げました。
釣果No.7028
2025年12月22日
佐賀県県北呼子周辺馬渡島

タイ

由布さん
由布さんは鯛を見事釣り上げました。
釣果No.7027
2025年12月22日
佐賀県県北呼子周辺馬渡島

タイイサキ

福岡市の小森さん
福岡市の小森さんは鯛、イサキと
見事釣り上げました。
釣果No.7026
2025年12月20日
佐賀県県北呼子周辺馬渡島

タイヨコワ

75cm 北九州市の高柳さん
北九州市の高柳さんは鯛75㎝
ヨコワと見事釣り上げました。
釣果No.6963
2025年12月16日
佐賀県県北呼子周辺馬渡島

クロ

唐津市の牧山さん
唐津市の牧山さんは
クロ40overを見事釣り上げました。
釣果No.6922
2025年12月13日
佐賀県県北呼子周辺馬渡島

イシガキダイ

佐賀市の東さん
佐賀市の東さんは石垣鯛を見事釣り上げました。
釣果No.6921
2025年12月13日
佐賀県県北呼子周辺馬渡島

クロヨコワ

46cm 大川市の酒見さん
大川市の酒見さんは
クロ46㎝、ヨコワと見事釣り上げました。
釣果No.6865
2025年12月10日
佐賀県県北呼子周辺馬渡島

ヒラス

唐津市の中島さん
唐津市の中島さんはヒラスを見事釣り上げました
釣果No.6714
2025年11月30日
佐賀県県北呼子周辺馬渡島

ヒラスヨコワ

福岡市の安永さん
福岡市の安永さんはヒラス、ヨコワと見事釣り上げました。
釣果No.6712
2025年11月29日
佐賀県県北呼子周辺馬渡島

ヒラス

石戸さん
石戸さんはヒラスを見事釣り上げました。
釣果No.6711
2025年11月29日
佐賀県県北呼子周辺馬渡島

イシガキダイ

佐賀市の東さん
佐賀市の東さんは石垣鯛を見事釣り上げました。